Bought with Tindal & Callahan Real Estate
For more information regarding the value of a property, please contact us for a free consultation.
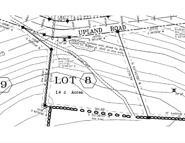
29 Upland RD Wiscasset, ME 04578
SOLD DATE : 10/10/2025Want to know what your home might be worth? Contact us for a FREE valuation!

Our team is ready to help you sell your home for the highest possible price ASAP
Key Details
Sold Price $123,500
Property Type Land
Listing Status Sold
MLS Listing ID 1629735
Sold Date 10/10/25
HOA Y/N No
Annual Tax Amount $966
Tax Year 24
Lot Size 1.400 Acres
Acres 1.4
Source Maine Listings
Property Description
High on a ridge two miles north of town, this 1.4-acre building lot with improvements offers a private setting only five minutes from the shops, restaurants, and waterfront of ''The Prettiest Village in Maine''. The lot has been cleared, with a roughed in driveway, well & septic installed, and a 32' x 40' foundation, ready for your design choices. A convenient location for commuters, and also to points of interest such as the Hidden Valley Nature Center, Alna Store, and the communities of Wiscasset, Damariscotta/Newcastle, and Boothbay Harbor.
Location
State ME
County Lincoln
Zoning Rural
Exterior
Parking Features Other, On Site
View Y/N Yes
View Trees/Woods
Road Frontage Private Road
Building
Lot Description Open, Wooded, Rural
Sewer Septic Tank, Private Sewer
Water Well, Private
Read Less

GET MORE INFORMATION




